
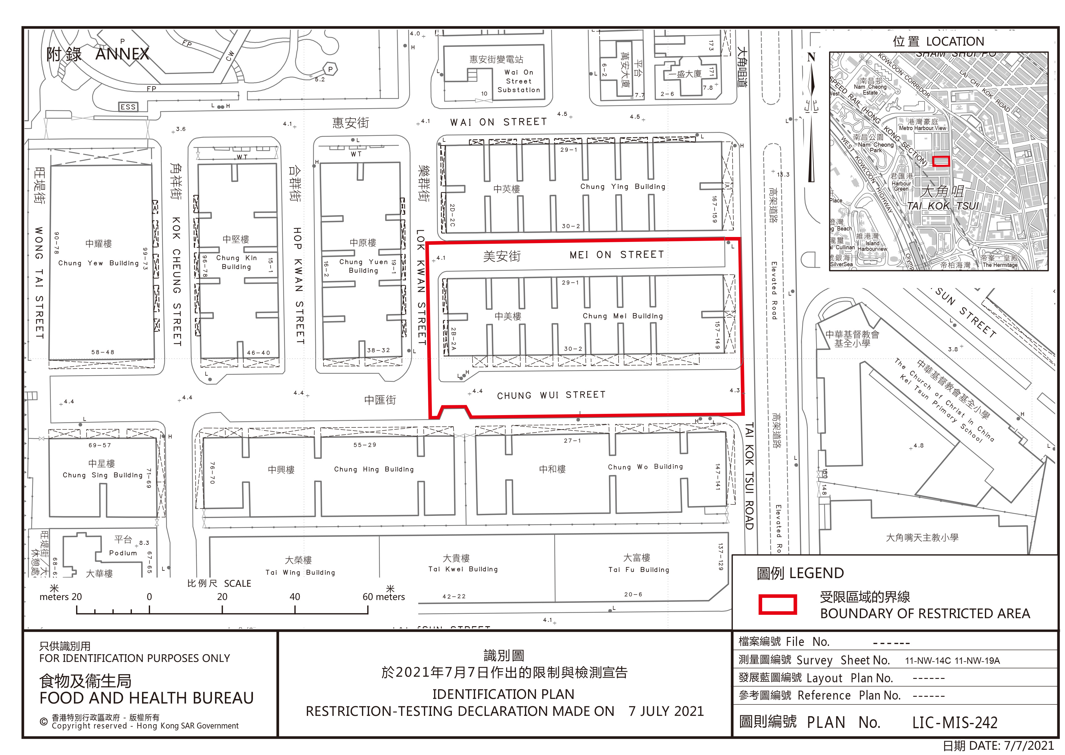
政府今日(7月7日)再引用《預防及控制疾病(對若干人士強制檢測)規例》(第599J章),作出限制與檢測宣告,自晚上7時起限制在大角咀指明「受限區域」,即大角咀道149-157號中美樓內的人士須留在其處所並接受強制檢測。受檢人士須在其處所等候,直至「受限區域」內所有已識別的受檢人士完成檢測,而相關檢測結果亦已獲大致確定,方可離開其處所。政府目標是在明日(7月8日)上午約7時完成此行動。
政府發言人表示,由於今日收到澳洲通報一宗涉及一名於6月26日由香港經新加坡前往澳洲的非本地確診個案,初步顯示涉及變種病毒株,經評估後相關區域感染風險有機會較高,政府決定就相關區域作出限制與檢測宣告。
衞生署衞生防護中心表示,正調查一宗涉及L452R(Delta)變異病毒株的2019冠狀病毒病外地確診個案。中心今日接獲澳洲衞生當局通報一宗於澳洲確診涉及Delta變異病毒株的個案,涉及一名52歲男病人,他於6月26日晚上乘搭TR981離港經新加坡轉機,於當地逗留數小時後於翌日(6月27日)乘坐TR18航班前往墨爾本。他於6月24日的出發前檢測結果呈陰性,其後於6月29日的檢測結果為陽性,沒有病徵。他離港前居於大角咀中美樓。他於葵涌九龍貿易中心1座21樓工作,最後上班日期為6月8日。
為審慎起見,政府今晚會將該病人香港居住的大廈作出限制與檢測宣告。居於同一大廈的所有住客亦須於個案公布當日計起第3、7、12及19日進行強制檢測。
同時,病人的工作處所,以及他在潛伏期及傳染期到訪過的地點亦須納入強制檢測公告。曾於指定時間逗留於相關地點的人士須於指明日期或之前接受強制檢測。