
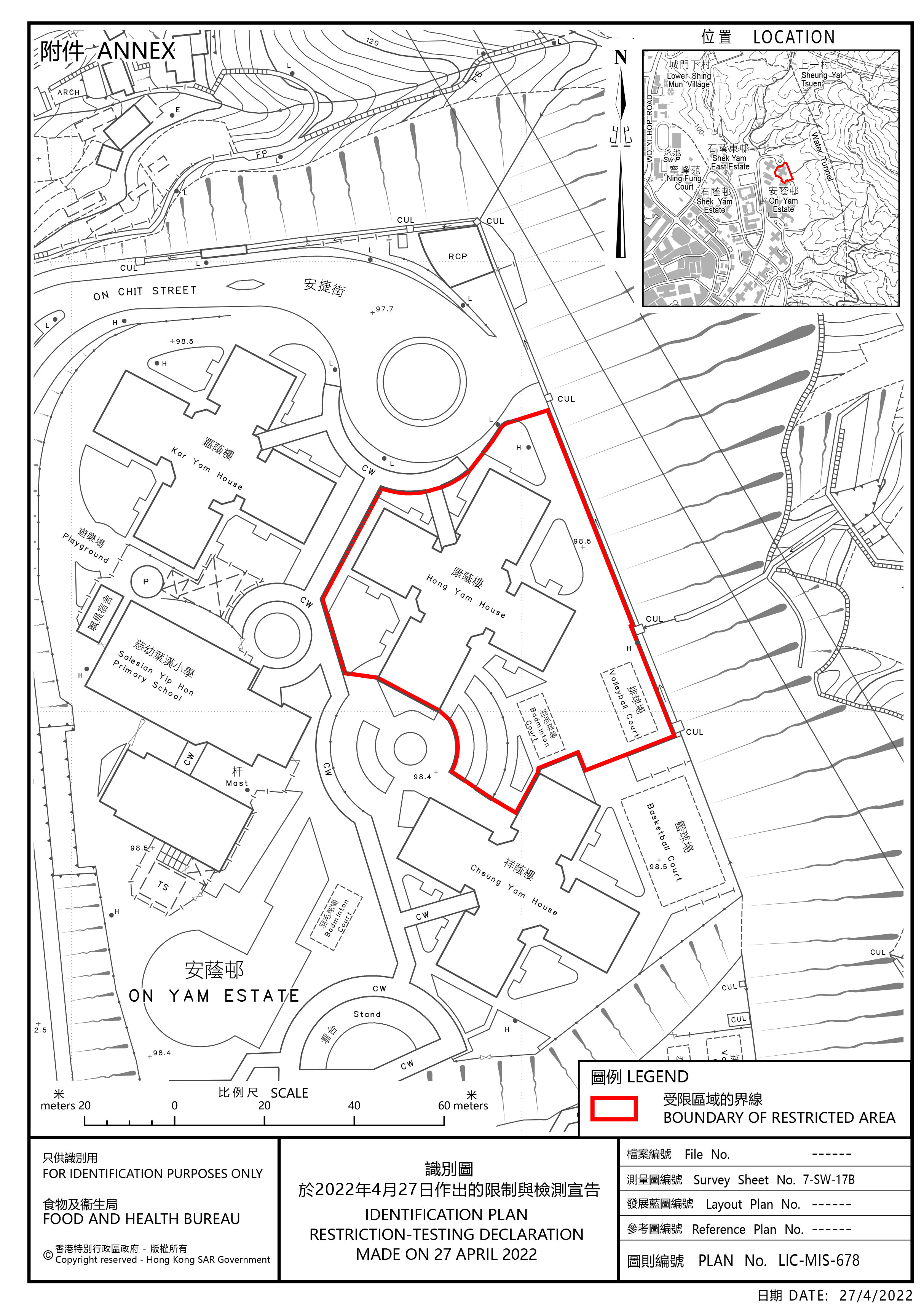
政府今日(4月27日)引用《預防及控制疾病(對若干人士強制檢測)規例》(第599J章),作出限制與檢測宣告,自下午3時起限制在葵涌指明「受限區域」,即葵涌安蔭邨康蔭樓內的人士,須留在其處所並接受強制檢測。受檢人士須在其處所等候,直至「受限區域」內所有已識別的受檢人士完成檢測,而相關檢測結果亦已獲大致確定,方可離開其處所。政府目標是在明日(4月28日)上午約11時完成此行動,視乎檢測結果,行動或會延長。
政府發言人表示,政府審視一籃子因素,包括污水檢測病毒量、相關確診個案情況、其他環境因素等,通過風險評估,決定就相關區域作出限制與檢測宣告。